Продается производственно-складская база (логистический комплекс) в г. Челябинске (Советский р-н, Троицкий тракт) по адресу: г. Челябинск, ул. Короленко, 79.
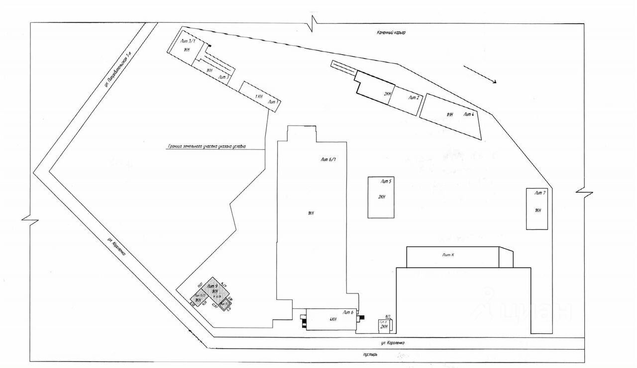
В составе: 11 производственно-складских зданий с офисами и 4 эт. Абк, общая площадь объектов капитального строительства — 11 448,9 м2, площадь з/у — 22 270 м2, своя котельная, ТП, видионаблюдение, все коммуникации.
База расположена в 8 км от площади Революции (центральной точки города). Высокая коммерческая привлекательность базы обусловлена концентрацией в данном районе, таких крупных торговых объектов как: Потребительский рынок, оптово-розничный рынок Купеческий, рынок Привоз, недалеко находится гипермаркет строительных материалов Старт и др.
Продается производственно-складская база (логистический комплекс) в г. Челябинске (Советский р-н, Троицкий тракт) по адресу: г. Челябинск, ул. Короленко, 79.
В составе: 11 производственно-складских зданий с офисами и 4 эт. Абк, общая площадь объектов капитального строительства — 11 448,9 м2, площадь з/у — 22 270 м2, своя котельная, ТП, видионаблюдение, все коммуникации.
База расположена в 8 км от площади Революции (центральной точки города). Высокая коммерческая привлекательность базы обусловлена концентрацией в данном районе, таких крупных торговых объектов как: Потребительский рынок, оптово-розничный рынок Купеческий, рынок Привоз, недалеко находится гипермаркет строительных материалов Старт и др. Наличие большого числа торговых предприятий обуславливает необходимость складских площадей в данном месте. Транспортная и пешеходная доступность базы оценивается на высоком уровне: от Троицкого тракта до базы 600 м, на этом же расстоянии находится остановка общественного транспорта Потребительская. За базой расположен чистый пруд (имеется рыба).
Здания.
Общая площадь зданий 11448,9 м², здания принадлежат на праве собственности. Основная часть зданий 1980-1990 гг. Постройки, находятся в хорошем состоянии, износ около 20-30%, также есть здания 2015 гг. Постройки, износ около 10%, в процессе эксплуатации производились текущие и капитальные ремонты, была произведена замена коммуникационных систем. Территория базы находится под видионаблюдением, имеется контрольно-пропускной пункт, трое въездных ворот.
В состав базы входят административные и производственно-складские здания (на праве собственности):
1. Офисное 4-этажное здание с подвалом (кирпич). В подвале находятся кабинеты, не завершены работы по отделке сауны и бассейна. На этажах с 1 по 4 — коридорная система расположения кабинетов, выполнен ремонт европейского качества, системы видионаблюдения, пожарные, охранные системы, интернет, телефон и др. Подключено ко всем коммуникациям (Лит. 6).
2. Производственно — складское кирпичное отапливаемое двухэтажное здание (с офисной частью на втором этаже) — 11 ворот под фуру из них 5 ворот кассетные, высота потолков около 10 м. Есть кран балка 5 тонн, смотровые автомобильные ямы. На втором этаже офисные помещения. Общая площадь двух описанных зданий составляет 6573,5 м² (Лит. 6/1).
3. Складское здание площадью 303,2 м². Здание кирпичное отапливаемое, высота потолка около 5 м, здание имеет кассетные въездные ворота под фуру, евроокна (Лит. 7).
4. Двухэтажное кирпичное здание, площадь 680,5 м². Здание отапливаемое, первый этаж склады, высота потолков около 5 м, имеется пандус и подъёмные механизмы, часть второго этажа торгово-офисная, другая часть складские помещения (Лит. 5).
5. Неотапливаемый металлический склад, площадь 538,7 м², трое ворот под фуру (Лит. 4).
6. Двухэтажное производственное-складское здание с офисными помещениями на втором этаже и подвалом, общая площадь 1092,7 м². Здание кирпичное отапливаемое, имеет 5 ворот под фуру. Второй этаж оф